Experience

Our survey and monitoring services have informed decision-making for a wide variety of marine and costal projects and developments

Ecological Survey Hydrographic-Geophysical Survey

Measuring dredging impact on black bream

Tarmac Marine and CEMEX UK Marine commissioned ABPmer to undertake an assessment of black bream nesting activity in survey areas in the Kingmere MCZ, to contribute to annual monitoring requirements for Areas 453 and 488 licences.

Hydrographic-Geophysical Survey

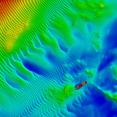
Understanding Welsh seabed characteristics through multibeam bathymetry processing

Processing bathymetry and backscatter data to help Welsh Government better understand seabed characteristics in resource areas

Hydrographic-Geophysical Survey

Area 392/393 geophysical survey

ABPmer was asked to conduct a geophysical survey within aggregate extraction Area 392/393 in fulfilment of a marine licence issued by NRW.

Hydrographic-Geophysical Survey

Crab fishery monitoring to support aggregate dredging

ABPmer was asked to conduct a geophysical survey in the vicinity of a crab fishery area south of Hastings, to ensure there were no negative effects from aggregate dredging activity taking place nearby

Oceanographic Survey

Tidal flow survey for Chichester Harbour Pontoon development

Identifying the difference in tidal flow between an existing pontoon and its planned extension, to inform a Navigational Risk Assessment

Logo

Marine and Coastal Survey - part of ABPmer

Contact us

ABPmer
Quayside Suite
Medina Chambers
Town Quay
Southampton
SO14 2AQ

E-zine sign-up